Вы точно уверены,раз даже место отметили???))) Тогда ответьте что за здания за спинами? Если верить вашей метке,,то нынешняя муз.школа№6.Тогда скажите что за здание 3-х этажное дальше???В парке отродясь такого небыло с довоенных времен)И судя по вашим коментам и меткам,там дальше памятник Сталину стоял) Нестыковочка) Если предположить,что вдали 3 этажа школа №95,а дальше Карлуша,то получается,что ваша метка не верна,а каток находится на месте дома моего отца( чего в принципе быть не может) и перекрывает центральную аллею( чего тоже в принципе неможет быть)).
Сожалею,не знал(первый раз забрёл сюда... Редко ошибался,но ошибался же...Если бы отец не прожил в парке 40 лет,и я 20,я бы не говорил...За старое сказать могу,за нынешнее нет...Стыдно признаться,живу от парка в 5 мин ходьбы, в Сбербанк хожу,который у входа,а в самом парке не был уже лет 20...
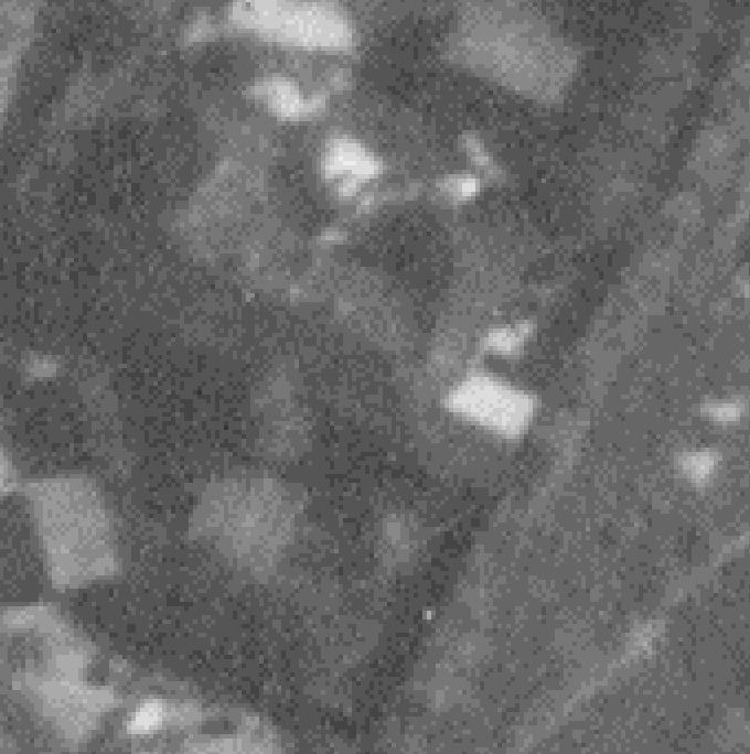
1) Виктор отметил место не точно. Я сейчас поправлю.
2) Здание за спиной - это действительно нынешняя музыкальная школа. Вот она на аэрофотоснимке 1942 года - полное соответствие облика, включая маленький домик-пристройку справа:
3) Здание 3-х-этажное дальше - это школа №95. На аэрофотоснимке все контуры, включая характерное закругление, точно соответствуют тому, что мы видим на этой фотографии.
4) Метка стоит немного не правильно. Вот, на аэрофотоснимке показываю сектор обзора фотографии и место откуда была сделана фотография. Ну и желтым обвел место, где примерно находился этот каток:
Вот то же самое на нашей карте-схеме:
Виктор просто слишком близко поставил маркер к музыкальной школе. На нашей схеме нередко трудно соблюсти пропорции расстояний.
Но перединул точку немного ближе (но в том же направлении). Все-таки по фотографии вполне очевидно, что снимали уже с территории катка, а не из-за обочины.
Ближе, на мой взгляд, нельзя, потому что иначе здание музыкальной школы закроет сектор обзора.
Комментарии
Отметил место съемки на карте. Удалил тег "Где это?".
Предварительное название - "Стадион в Городском парке".
Вы точно уверены,раз даже место отметили???))) Тогда ответьте что за здания за спинами? Если верить вашей метке,,то нынешняя муз.школа№6.Тогда скажите что за здание 3-х этажное дальше???В парке отродясь такого небыло с довоенных времен)И судя по вашим коментам и меткам,там дальше памятник Сталину стоял) Нестыковочка) Если предположить,что вдали 3 этажа школа №95,а дальше Карлуша,то получается,что ваша метка не верна,а каток находится на месте дома моего отца( чего в принципе быть не может) и перекрывает центральную аллею( чего тоже в принципе неможет быть)).
Виктор Вам уже не ответит, но он редко ошибался
Сожалею,не знал(первый раз забрёл сюда... Редко ошибался,но ошибался же...Если бы отец не прожил в парке 40 лет,и я 20,я бы не говорил...За старое сказать могу,за нынешнее нет...Стыдно признаться,живу от парка в 5 мин ходьбы, в Сбербанк хожу,который у входа,а в самом парке не был уже лет 20...
до этого кафе на этом месте стоял дом, где жил мой отец. https://oldsaratov.ru/photo/18529#comment-154493
Я отвечу вместо Виктора.
1) Виктор отметил место не точно. Я сейчас поправлю.
2) Здание за спиной - это действительно нынешняя музыкальная школа. Вот она на аэрофотоснимке 1942 года - полное соответствие облика, включая маленький домик-пристройку справа:
3) Здание 3-х-этажное дальше - это школа №95. На аэрофотоснимке все контуры, включая характерное закругление, точно соответствуют тому, что мы видим на этой фотографии.
4) Метка стоит немного не правильно. Вот, на аэрофотоснимке показываю сектор обзора фотографии и место откуда была сделана фотография. Ну и желтым обвел место, где примерно находился этот каток:
Вот то же самое на нашей карте-схеме:
Виктор просто слишком близко поставил маркер к музыкальной школе. На нашей схеме нередко трудно соблюсти пропорции расстояний.
Исправил точку.
Вы хотите сказать,что это одно и тоже? https://oldsaratov.ru/photo/13606
Да.
Только там тоже точку надо отодвинуть немного назад.
до двигались) вы предстаавляете как будет выглядеть дмш с такого расстояния? размер меньше чем здесь... https://oldsaratov.ru/photo/10896#comment-154495
Нет, не очень представляю.
Но перединул точку немного ближе (но в том же направлении). Все-таки по фотографии вполне очевидно, что снимали уже с территории катка, а не из-за обочины.
Ближе, на мой взгляд, нельзя, потому что иначе здание музыкальной школы закроет сектор обзора.
Там (https://oldsaratov.ru/photo/10896), как я понимаю, это же место и примерно в этом же направлении?